Sakit okeanın dibində naməlum nəhəng heyvanın izləri tapıldı
“Ölkə.Az” xəbər verir ki, fotolar komandanın Sakit okeanda tapdığı qeyri-adi izlərə aiddir.
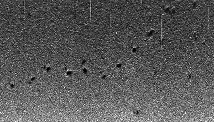
Komanda Klarion-Klipperton zonasında sualtı robot göndərib. Ərazi Kaliforniya və Havay adaları arasında yerləşir və dərinliyi 4 kilometrdir. Bura işıq düşmür və suyun tempraturu sıfır dərəcədir. Sualtı “Sonar” robotu 3.5 km dərinliyə enib və bütün yol boyu fotolar çəkib. Fotoları birləşdirəndə 3.500 qeyri-adi çuxur nəzərə çarpıb.
Əvvəlcə çuxurların təsadüfi olduğu düşünülsə də, sonradan onların eyni ölçüdə olması diqqət cəlb edib. Hər bir çuxurun uzunluğu 2.5 metr, eni 97 sm, dərinliyi isə 13 sm-dir. Çuxurlar iz zənciri kimi görünür. Bu, hansısa çox nəhəng heyvana məxsus ola bilərdir. Alimlər isə izlərin təzə olduğunu müəyyən ediblər.
Əvvəlcə izin böyük bir balığa məxsus olduğu düşünülüb. Amma tezliklə tədqiqatçılar bildiriblər ki, bu ərazidə yaşayan ən böyük balığın uzunluğu 1 metrdir.
Bəlkə çuxurlar kitə məxsusdur? Amma kitlər ən çox 2.9 km dərinliyə qədər enə bilirlər. Burada isə dərinlik 3.5-4 km təşkil edir. Deməli, izlər elmə məlum olmayan hansısa nəhəng heyvana məxsusdur.







Şərhlər
Şərhləri göstər Şərhləri gizlət